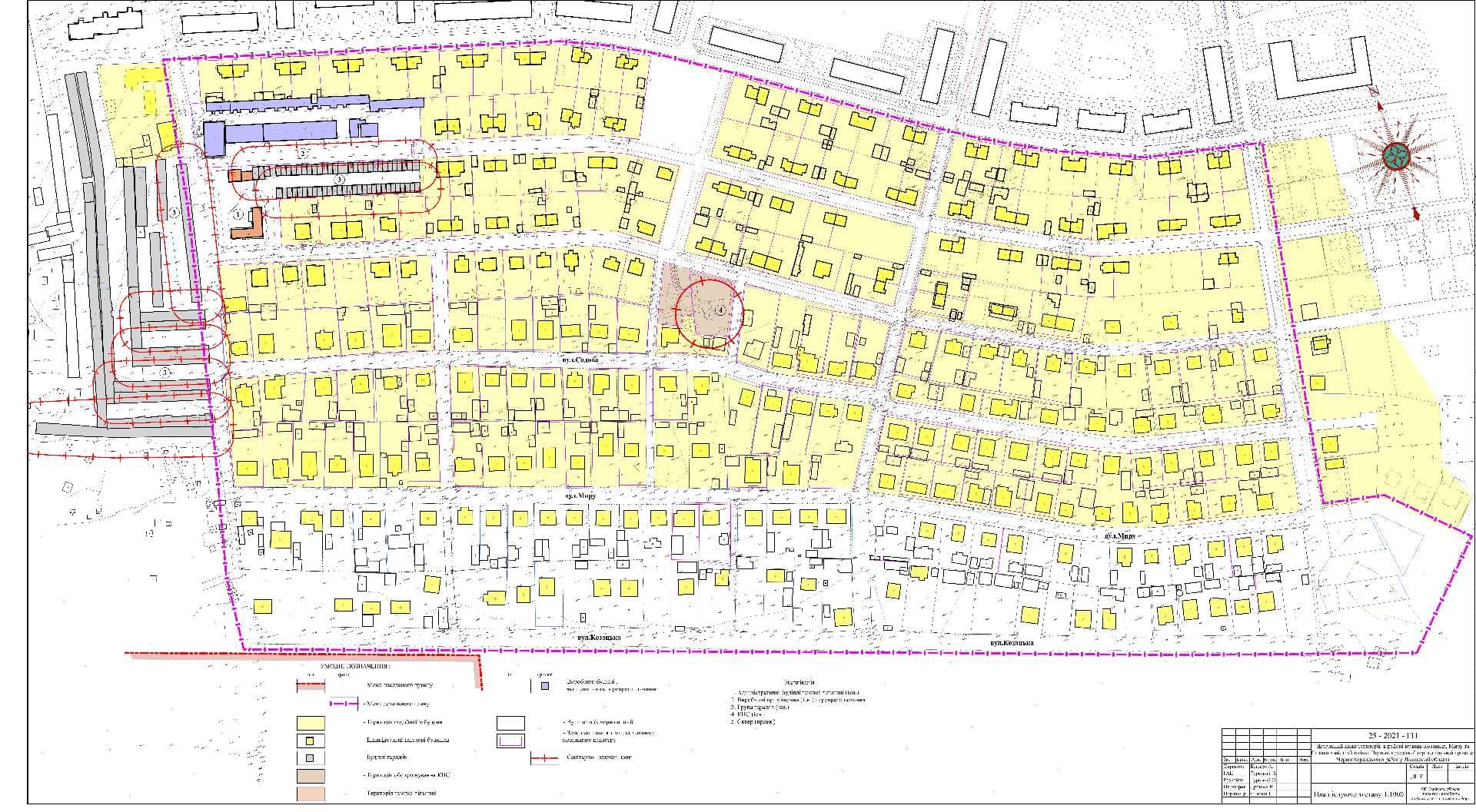
Детальний план території в районі вулиць Козацька, Миру та Садова в місті Соснівка Червоноградської територіальної громади Червоноградського району Львівської області
Поділитись
Детальний план території в районі вулиць Козацька, Миру та Садова в місті Соснівка Червоноградської територіальної громади Червоноградського району Львівської області, затверджений рішенням Червоноградської міської ради від 30.03.2023 №1758
Файли:








