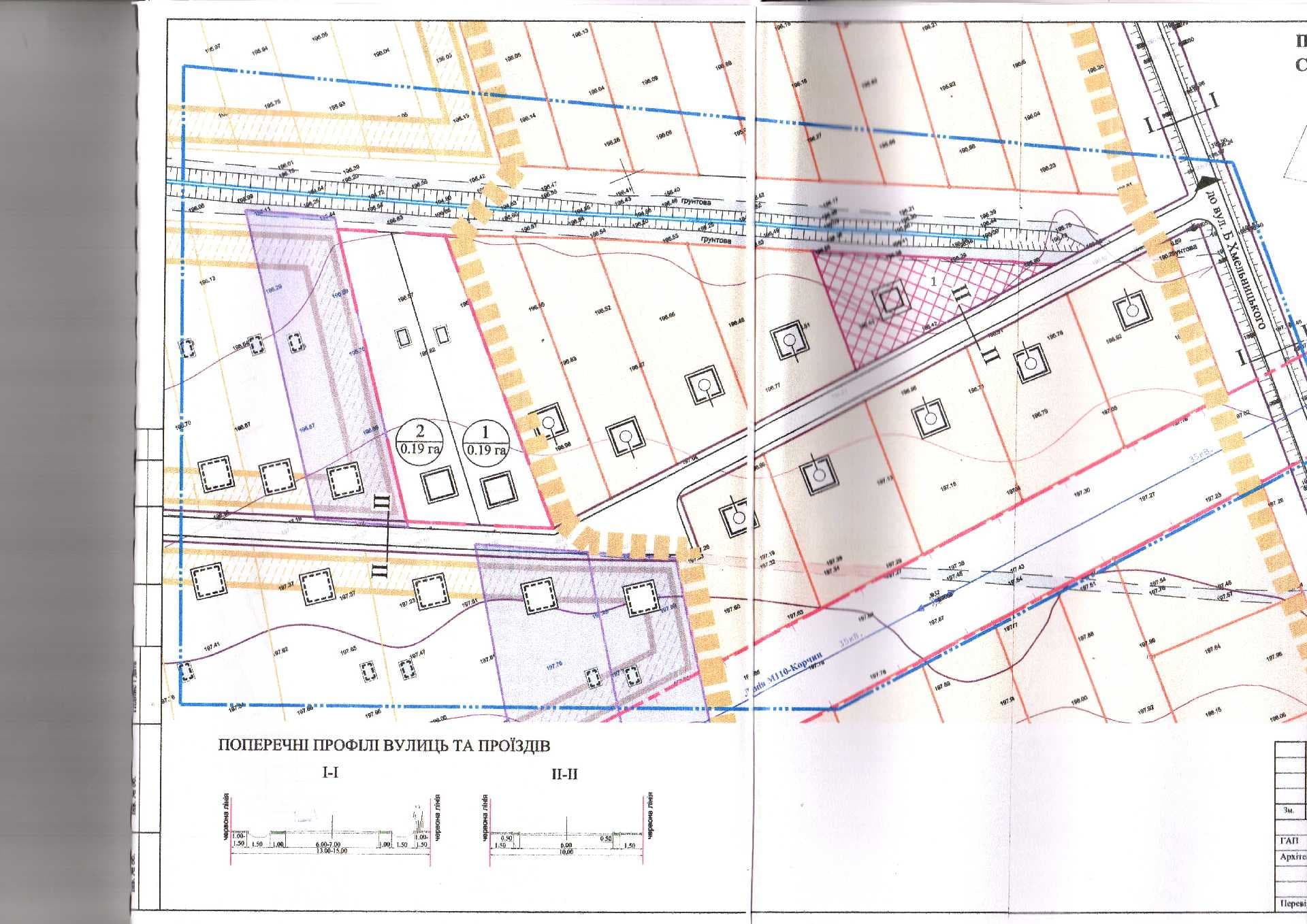
Детальний план території для житлової садибної забудови по вулиці Степана Бандери в селі Поздимир Радехівського районуОпубліковано: 05.11.2021Поділитись