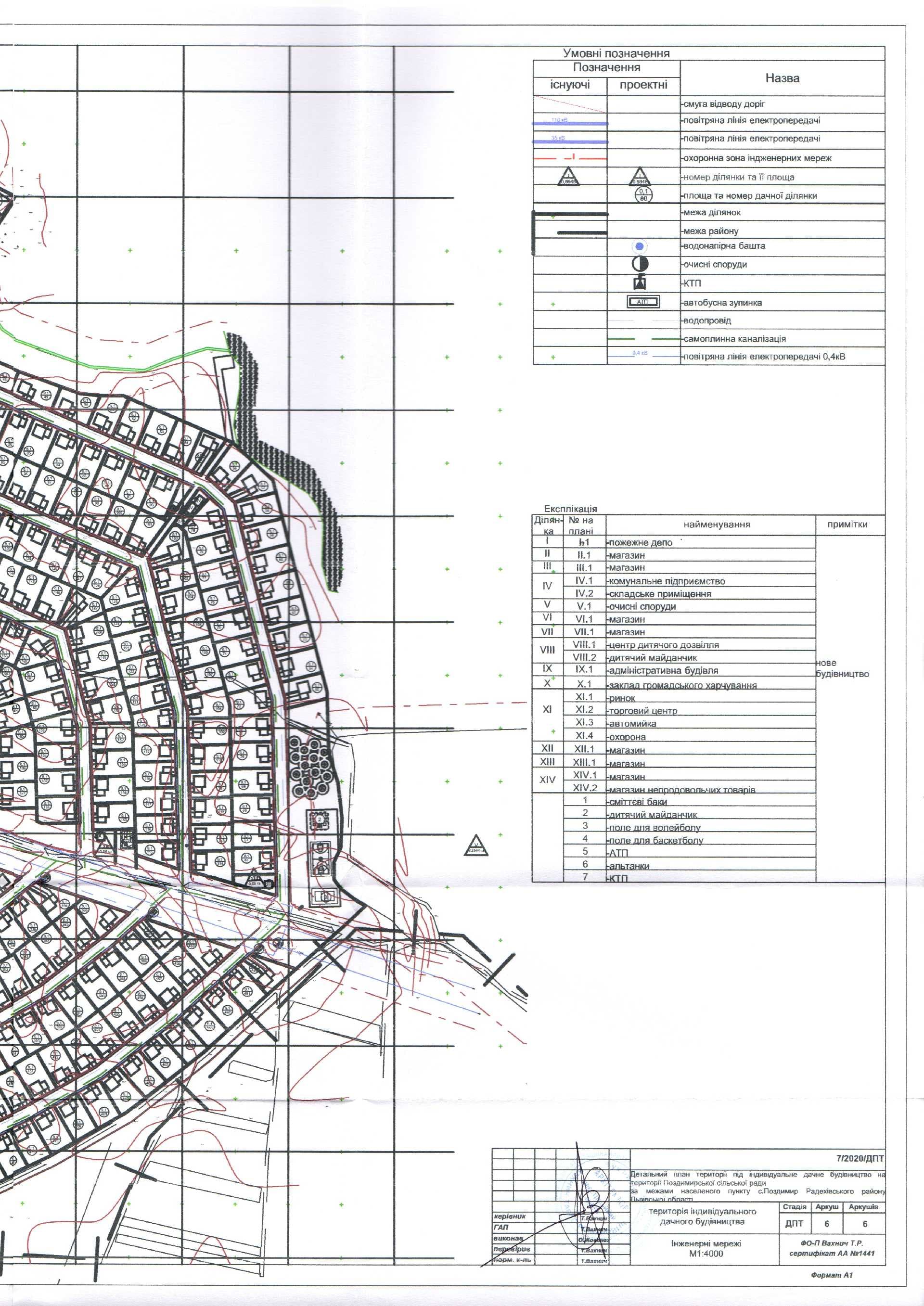
Детальний план території під індивідуальне дачне будівництво на території Поздимирської сільської ради за межами населеного пункту села Поздимир Радехівського району Львівської області
Детальний план території під індивідуальне дачне будівництво на території Поздимирської сільської ради за межами населеного пункту села Поздимир Радехівського району Львівської області