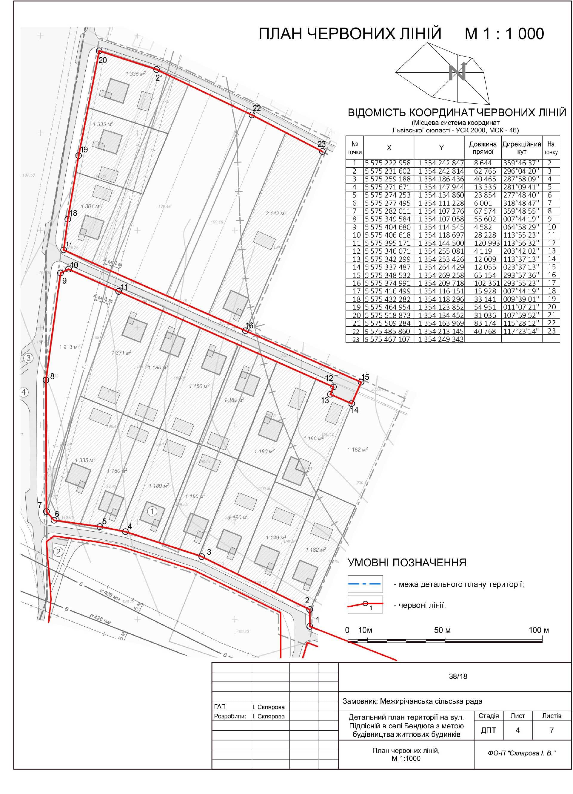
Детальний план території на вулиці Підлісній в селі Бендюга з метою будівництва житлових будинківОпубліковано: 04.11.2021Поділитись