План зонування території в межах вул. Львівської, лісового масиву з північної сторони, залізничної колії та місцевого проїзду на шахту «Надія» м. Соснівка Червоноградської територіальної громади Червоноградського району Львівської області
Поділитись
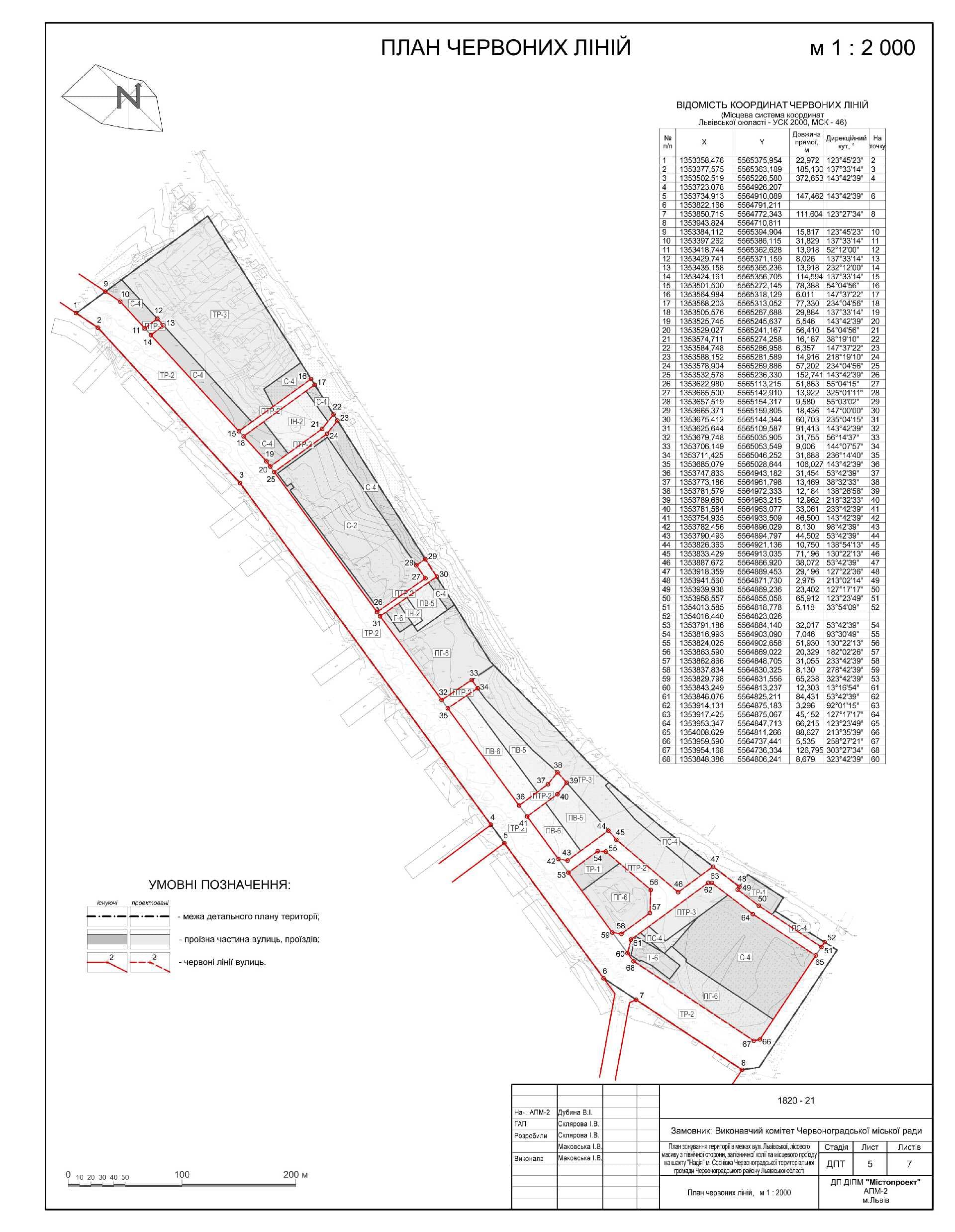
План зонування території в межах вулиці Львівської, лісового масиву з північної сторони, залізничної колії та місцевого проїзду на шахту «Надія» в м.Соснівка Червоноградської територіальної громади Червоноградського району Львівської області затверджений рішенням Червоноградської міської ради від 16.09.2021 № 736 .
Файли:






